Evidence For Vast Oceans On Ancient Mars

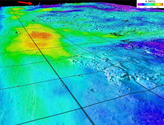
[/caption] Data from the Mars Odyssey orbiter's Gamma Ray Spectrometer provides new evidence for the controversial idea that oceans once covered about a third of ancient Mars. Spacecraft images going back to Mariner 9 in the early 1970s and the Viking orbiters and landers later in the 1970s up to the current orbiters and rovers have showed widespread evidence for a watery past for Mars. About 20 years ago, several studies sparked a scientific debate on the possible existence of ancient Martian oceans marked by visible shorelines. Images and topographic maps provide evidence for two different oceans in one area, perhaps occuring at different times in Mars history, a larger one at an earlier time, and a smaller once existing later. Odyssey's GRS can detect subsurface elements, and new data confirms the right combination of elements for two ancient shorelines.

The spectrometer has the unique ability to detect elements buried as much as 1/3 meter, or 13 inches, below the surface by the gamma rays they emit. That capability led to GRS' 2002 discovery of water-ice near the surface near Mars arctic region, leading to the decision for the Phoenix landing site.

"Our investigation posed the question, 'Might we see a greater concentration of these elements within the ancient shorelines because water and rock containing the elements moved from the highlands to the lowlands, where they eventually ponded as large water bodies?'" said University of Arizona planetary geologist James M. Dohm, who led the international investigation. "We compared Gamma Ray Spectrometer data on potassium, thorium and iron above and below a shoreline believed to mark an ancient ocean that covered a third of Mars' surface, and an inner shoreline believed to mark a younger, smaller ocean."

Results suggest that past watery conditions likely leached, transported and concentrated such elements as potassium, thorium and iron, Dohm said. "The regions below and above the two shoreline boundaries are like cookie cutouts that can be compared to the regions above the boundaries, as well as the total region."

The younger, inner shoreline is evidence that an ocean about 10 times the size of the Mediterranean Sea, or about the size of North America, existed on the northern plains of Mars a few billion years ago. The larger, more ancient shoreline that covered a third of Mars held an ocean about 20 times the size of the Mediterranean, the researchers estimate.

The potassium-thorium-iron enriched areas occur below the older and younger paleo-ocean boundaries with respect to the entire region, they said. The scientists used data from Mars Global Surveyor's laser altimeter for topographic maps of the regions in their study.

Scientists studying spacecraft images have a hard time confirming "shoreline" landforms, the researchers said, because Mars shorelines would look different from Earth's shorelines. Earth's coastal shorelines are largely a direct result of powerful tides caused by gravitational interaction between Earth and the moon, but Mars lacks a sizable moon. Another difference is that lakes or seas on Mars could have formed largely from giant debris flows and liquefied sediments. Still another difference is that Mars oceans may have been ice-covered, which would prevent wave action.

"The GRS adds key information to the long-standing oceans-on-Mars controversy," Dohm said. "But the debate is likely to continue well into the future, perhaps even when scientists can finally walk the Martian surface with instruments in hand, with a network of smarter spaceborne, airborne and ground-based robotic systems in their midst."

Source:

U of Arizona

Nancy Atkinson

Nancy Atkinson

Nancy Atkinson is a space journalist and author with a passion for telling the stories of people involved in space exploration and astronomy. She is currently retired from daily writing, but worked at Universe Today for 20 years as a writer and editor. She also contributed articles to The Planetary Society, Ad Astra (National Space Society), New Scientist and many other online outlets.

Her 2019 book, "Eight Years to the Moon: The History of the Apollo Missions,” shares the untold stories of engineers and scientists who worked behind the scenes to make the Apollo program so successful, despite the daunting odds against it. Her first book “Incredible Stories From Space: A Behind-the-Scenes Look at the Missions Changing Our View of the Cosmos” (2016) tells the stories of 37 scientists and engineers that work on several current NASA robotic missions to explore the solar system and beyond.

Nancy is also a NASA/JPL Solar System Ambassador, and through this program, she has the opportunity to share her passion of space and astronomy with children and adults through presentations and programs. Nancy's personal website is nancyatkinson.com